十分~~
2023年2月24日
本日のセブ島のコンディション
今朝は雲がまた多くなってますが風もなく静かな感じ
昨日があまりにも天気がよかったので過ごしやすいです
きのうは月一ペースで潜りに来ている方とのマンツーマンダイビング

何度もマリンステーションはもぐってますが

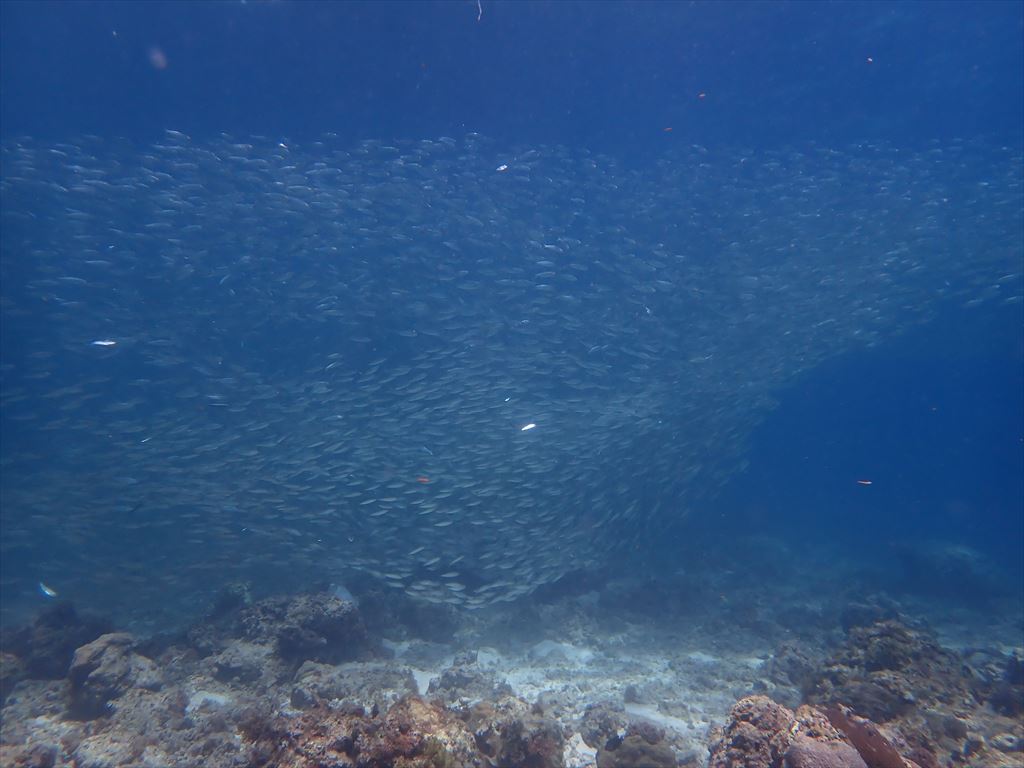
昨日のイワシにはびっくりしてくれました。

すこしずつ透明度も良くなて来ているマクタンなので浅瀬は本当に気持ちよく、

晴れていて光も入っていたから本当に快適!!

水温が27度だいなので若干ひんやりはしますが
本当に楽しく潜れます。

日本でもイワシが大量にとれているとのニュースを見ましたが
ココは現在捕獲してはいけないとのことなので
このままどんどん増えてくれると嬉しいな~~~
マリンステーションだけでのダイビングでも十分楽しめますからね

